Ingatlanok összehasonlítása

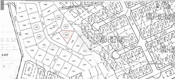
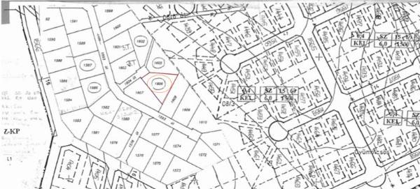
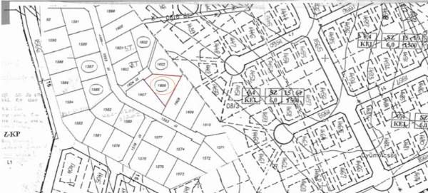
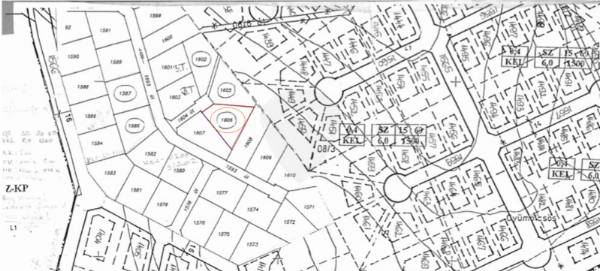
Eladó 1506 nm-es Telek Tinnye

Tinnye
34.900.000 Ft
23.174 Ft / m2

Leírás

ÖRÖK PANORÁMÁS ÉPÍTÉSI TELEK TINNYÉN – A TERMÉSZET KÖZELSÉGÉBEN, A JÖVŐ BIZTONSÁGÁVAL Tinnye szívében, a közkedvelt Királyvölgy Lakópark festői környezetében kínálunk eladásra egy 1506 m²-es, összközműves, elvehetetlen örök panorámával rendelkező építési telket. Ez a különleges ingatlan nem csupán egy üres telek, hanem egy kivételes lehetőség – életminőségben, befektetési potenciálban és természeti adottságokban is páratlan. A telek a Pilis, a Budai-hegység és a Gerecse lenyűgöző vonulataira nyújt zavartalan kilátást, miközben a környezet csendes, békés, és friss levegőjű – tökéletes otthonteremtéshez vagy hosszú távú befektetéshez. A TELEK FŐBB JELLEMZŐI Méret: 1506 m² 15% beépíthetőség 6 méter építmény magasság 0,4 a szintterületi mutató Közművek a telken: villany, víz, gáz, csatorna Panoráma: örök, zavartalan kilátás a környező hegyekre Jogilag rendezett, tehermentes, azonnal birtokba vehető LOKÁCIÓ ÉS ÉLETMÓD A telek elhelyezkedése egyszerre nyújt nyugalmat és kiváló elérhetőséget: Mindössze 30 perc Budapesttől autóval Gyorsvasúti kapcsolat a Nyugati pályaudvarral (Piliscsaba állomás 10 perc autóval) Közel a természethez – túraútvonalak, dombok, erdők, valamint a népszerű Garancsi-tó és az ikonikus Üvegtigris büfé pár percre Kiváló infrastruktúra: bolt, orvosi rendelő, óvoda és általános iskola helyben CSOK Plusz kompatibilis – ideális fiatal családok számára is MIÉRT EZ A TELEK? Befektetésnek is ideális – a környék dinamikusan fejlődik, az ingatlanárak folyamatosan emelkednek Modern környezet – újépítésű, igényes házakkal körülvett terület Zöldotthon lehetősége – a természet közelsége és a nagy telekméret lehetővé teszi környezettudatos otthon kialakítását Ikerház építésére is alkalmas – rugalmas tervezési lehetőségek Ez a telek nem csupán egy földdarab, hanem egy életstílus: nyugalom, panoráma, természetközeli élet és mégis könnyű elérhetőség Budapest irányába. Legyen szó saját családi otthon megvalósításáról vagy hosszú távú befektetésről – itt az alkalom, hogy megalapozza jövőjét Tinnye egyik legszebb részén. Keressen bizalommal, szívesen segítek a további kérdésekkel, megtekintéssel vagy a tervezés első lépéseiben is. Fedezze fel, mit jelent az, amikor az otthona egy lélegzetelállító kilátással kezdődik.

További adatok

  • Azonosító: 1659784
  • Méret: 1506 m2
  • Övezeti besorolás: -
  • Beépíthetőség: -
  • Építési engedély: -

Közművek

  • Villany
  • Gáz
  • Csatorna

Elhelyezkedés