Ingatlanok összehasonlítása

Eladó 133 nm-es 4+1 szobás Ház Tinnye

Tinnye
119.900.000 Ft
901.504 Ft / m2

Leírás

Örökpanorámás, prémium családi ház a természet ölén – Tinnye Királyvölgyi lakóparkjában Egy különleges otthon, ahol a kényelem, a fenntarthatóság és a természet közelsége találkozik. Tinnye egyik legkedveltebb, nyugodt, mégis gyorsan fejlődő részén, a Királyvölgyi lakóparkban kínálunk eladásra egy kivételes adottságú, új építésű családi házat, amely minden igényt kielégítő kényelmet és korszerű műszaki megoldásokat kínál. Ez az ingatlan ideális választás családok számára, de kiváló befektetési lehetőségként is megállja a helyét. Lenyűgöző környezet – örök panoráma a hegyekre Az 1506 m²-es, gondosan karbantartott kert a Pilis, a Budai-hegység és a Gerecse harmonikus ölelésében helyezkedik el, garantálva a zavartalan, örökpanorámás kilátást. A kristálytiszta levegő, a csend és a környező erdők közelsége ideális helyszínt biztosít a nyugodt, egészséges élethez – legyen szó otthonteremtésről vagy hosszú távú befektetésről. Az ingatlan főbb jellemzői: Telekméret: 1506 m² Beépíthetőség: 15% Építménymagasság: 6 méter Szintterületi mutató: 0,4 Közművek: víz, villany, gáz, csatorna – telken belül Jogilag rendezett, tehermentes, azonnal birtokba vehető Lakótér és elrendezés: Hasznos alapterület: 133 m² Szobák: 4 teljes méretű hálószoba + 1 félszoba Fürdőszobák: 2, modern kialakítással Amerikai stílusú nappali-konyha étkezővel és konyhaszigettel Világos, napfényes belső terek Bővíthető kialakítás Kiemelt extrák és műszaki tartalom: Ácsolt fa födém láng- és gombamentesítő kezeléssel Porotherm falazat (külső: 30 N+F, válaszfal: 10 N+F) Lépésálló hőszigetelés (10 cm AT-N100) 3 rétegű, 7 kamrás hőszigetelt nyílászárók Padlófűtés + légkondicionálás – teljes házban Prémium laminált padló, modern beltéri ajtók Okosotthon rendszer, riasztórendszer Teljes elektromos és vízhálózat kiépítve Napelem rendszer telepítésében is segítünk Ár garancia a teljes kivitelezési időszakra (8–12 hónap) Egyedi igények alapján testre szabható – az Ön elképzelései szerint valósul meg az otthona Elhelyezkedés és infrastruktúra: Budapest mindössze 30 perc autóval Piliscsaba vasútállomás (Nyugati pu. gyorsvasút) – 10 perc távolságra Közelben: óvoda, iskola, bolt, orvosi rendelő Természeti látnivalók: Garancsi-tó, Üvegtigris büfé, túraútvonalak Tömegközlekedés és ellátottság kiváló Ez az ingatlan több, mint otthon – egy életstílus Egy hely, ahol a modern technológia, a magas szintű kivitelezés és a természet szeretete egyensúlyban van. Egy olyan környezet, ahol a gyermekek biztonságban játszhatnak a kertben, a szülők pedig élvezhetik a nyugodt hétvégéket a teraszon vagy a természetben. Tehermentes, CSOK Plusz-kompatibilis, így fiatal családok számára is elérhető választás. Ez az ingatlan a Pilis, a Budai-hegység és a Gerecse lenyűgöző vonulataira nyújt zavartalan kilátást, miközben a környezet csendes, békés, és friss levegőjű – tökéletes otthonteremtéshez vagy hosszú távú befektetéshez hiszen jelenleg a térség dinamikusan fejlődik így a telek árak rohamosan nőnek. Ne késlekedj felvenni velem a kapcsolatot Ha szeretne egy igazán különleges, jövőálló otthonban élni – amelyet akár saját elképzelései szerint formálhat – akkor ne habozzon felvenni velünk a kapcsolatot! Szívesen küldünk részletes műszaki dokumentációt, és mindenben segítünk, hogy meghozza élete egyik legjobb döntését.

További adatok

  • Azonosító: 1659783
  • Épület szintjei: -
  • Méret: 133 m2
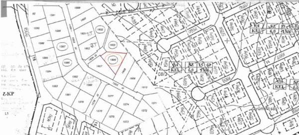
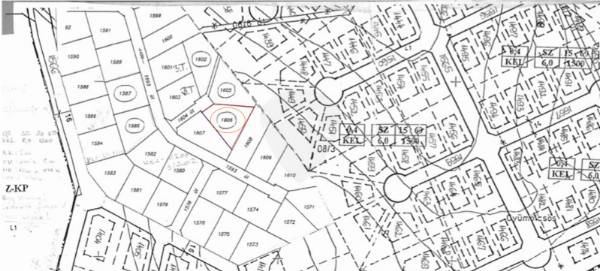
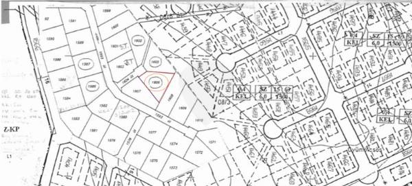
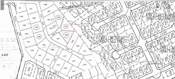
  • Telek méret: 1506 m2
  • Szobák száma: 4 db
  • Félszobák száma: 1 db
  • Fűtés: -
  • Állapot: Új építésű
  • Építési év: 2025
  • Ház szerkezete: Tégla
  • Erkély/terasz: -
  • Melléképület: -
  • Tetőtér: -

Elhelyezkedés